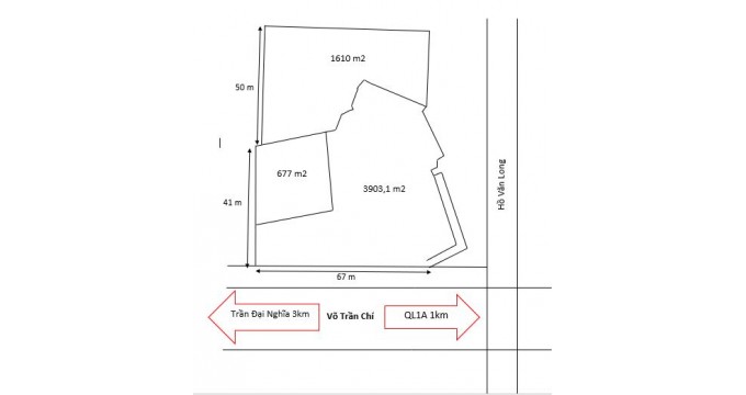
CHO THUÊ dài hạn đất mặt tiền 70m đường Võ Trần Chí, Bình Tân. Diện tích 6.100 m2. Cách QL1A 800m

Ngày đăng: 3 năm trước
Bình Tân - Hồ Chí Minh
Giá: 102 Triệu vnđ /tháng
Diện tích: 6100 m²
Liên hệ: A - Lợi
Điện thoại: 0938911554
Tin Đăng hết hạn
Tin này đã hết hạn ngày 17/05/2025, nhưng vẫn cung cấp thông tin giá trị cho cho bạn tham khảo.
Hãy sử dụng công cụ tìm kiếm để tìm những tin đăng mới nhất.

 

CHÍNH CHỦ cần cho thuê dài hạn đất mặt tiền đường dẫn cao tốc Võ Trần Chí, Bình Tân.

-         Diện tích: 6100 m2

-         Vị trí: trục đường chính đi Miền Tây, Long An. Mặt tiền đường Võ Trần Chí, ngay ngã tư Hồ Văn Long – Võ Trần Chí. Cách QL1A 800m.

-         Giá thuê: 102 triệu/tháng.

-         Liên hệ: 0938 911 554 – Lợi

Thích
Phản hồi
Gọi ngay
Tin đăng liên quan
Giá: 30 Triệu vnđ /tháng
Diện tích: 100
Vị trí: Bình Tân, Hồ Chí Minh
starstarstar
Giá: 5 Triệu vnđ /tháng
Diện tích: 60
Vị trí: Bình Tân, Hồ Chí Minh
starstarstar
Giá: 10 Triệu vnđ /tháng
Diện tích: 120
Vị trí: Bình Tân, Hồ Chí Minh
starstarstar
Giá: 40 Triệu vnđ /tháng
Diện tích: 84
Vị trí: Bình Tân, Hồ Chí Minh
starstarstar
Giá: 70.000 vnđ /m2/tháng
Diện tích: 900
Vị trí: Bình Tân, Hồ Chí Minh
starstarstar
Giá: vnđ /m2/tháng
Diện tích: 4758
Vị trí: Bình Tân, Hồ Chí Minh
starstarstar
Giá: vnđ /m2/tháng
Diện tích: 850m²
Vị trí: Bình Tân, Hồ Chí Minh
starstarstar
Giá: 10 vnđ /m2/tháng
Diện tích: 160m²
Vị trí: Bình Tân, Hồ Chí Minh
starstarstar
Giá: vnđ /m2/tháng
Diện tích: 860
Vị trí: Bình Tân, Hồ Chí Minh
starstarstar
Giá: vnđ /tháng
Diện tích: 232m2
Vị trí: Bình Tân, Hồ Chí Minh
starstarstar
  • Cho thuê
  • Cần thuê
Sự kiện sắp diễn ra